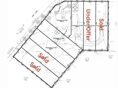
Lot 801, 2 Beryl Street Stirling WA 6021
For Sale Expressions of interest from $680,000
Under OfferPrime Real Estate Opportunity in Stirling - Secure Your Future Home Today!
Seize the opportunity to own a premium 400sqm block in the highly sought-after suburb of Stirling! This exclusive offer allows you to secure your dream location well ahead of settlement, giving you ample time to plan and design your perfect home.
How to Secure Your Block:
Expression of Interest: Submit your Expression of Interest on TODAY'S PRICES and settle in June 2025. Be among the first to secure one of these prime blocks.
Why Stirling?
Prime Location: Nestled in a tranquil and family-friendly community.
Convenience: Close to top schools, shopping centers, and recreational facilities.
Future Growth: Benefit from the ongoing development and increasing value in Stirling.
Don't miss this chance to invest in a prime piece of real estate in one of Stirling's most desirable locations. Secure your future and start building your dream home today!
Titles are expected to be issued, approximately June 2025.
Settlement after Titles issued.
Contact us now to submit your Expression of Interest and ensure you don't miss out on this exclusive opportunity.
Disclaimer:
This information is provided for general information purposes only and is based on information provided by the Seller and may be subject to change. No warranty or representation is made as to its accuracy and interested parties should place no reliance on it and should make their own independent enquiries.
Email a friend
You must be logged in and have a verified email address to use this feature.
Call Agent
-
Cheryl & Ray OprandiThe Agency Perth

